Stadt Ludwigsfelde

WMS Ludwigsfelde Bebauungsplan Nr. 3 Gewerbepark Ludwigsfelde / Löwenbruch (Preußenpark), 1. Änderung Gemarkung Ludwigsfelde (Teilplan I, Blatt II)

Planz Planz Planz
Service health Now:
Interface
Web Service, OGC Web Map Service 1.1.1
Keywords
Bebauungsplan, B-Plan, Bauleitplanung, Planen und Bauen, inspireidentifiziert
Fees
Keine
Access constraints
Test
Data provider

Stadt Ludwigsfelde (unverified)

Contact information:

Herr Thomas Noetzel

Stadt Ludwigsfelde

Rathausstr. 2:
14974 Ludwigsfelde, 14974 Ludwigsfelde, Deutschland

Email: 

Phone: +49 3378 827 127

Ads by Google

Dieser Dienst stellt AUSGESUCHTE Planinhalte aus der XPlankonformen Umsetzung des Bebauungsplans Nr. 3 Gewerbepark Ludwigsfelde / Löwenbruch (Preußenpark), 1. Änderung Gemarkung Ludwigsfelde (Teilplan I, Blatt II) dar.

Available map layers (21)

WMS Ludwigsfelde Bebauungsplan Nr. 3 Gewerbepark Ludwigsfelde / Löwenbruch (Preußenpark), 1. Änderung Gemarkung Ludwigsfelde (Teilplan I, Blatt II) (wms_xpl_44)

Dieser Dienst stellt AUSGESUCHTE Planinhalte aus der XPlankonformen Umsetzung des Bebauungsplans Nr. 3 Gewerbepark Ludwigsfelde / Löwenbruch (Preußenpark), 1. Änderung Gemarkung Ludwigsfelde (Teilplan I, Blatt II) dar.

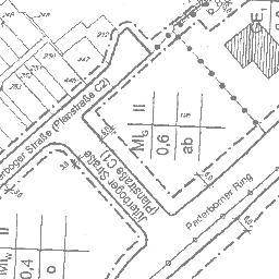
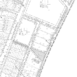
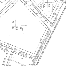
Planzeichnung (Planz)

Gescannter Planausschnitt

Geltungsbereich und Abgrenzung (BP_Plan)

BP_Plan

Geltungsbereichsgrenze (GGrenze)

Räumlicher Geltungsbereich des Bebauungsplanes

Geltungsbereich (GBereich)

Räumlicher Geltungsbereich des Bebauungsplanes

Wasserwirtschaftsfläche (WasserWirt)

Flächen für die Wasserwirtschaft, den Hochwasserschutz und die Regelungen des Wasserabflusses (§9 Abs. 1 Nr. 16 und Abs. 6a BauGB).

Baugebietsteilfläche (BauGT)

Teil eines Baugebiets mit einheitlicher Art und Maß der baulichen Nutzung.

Ver- und Entsorgungsfläche (VerEnts)

Flächen und Leitungen für Versorgungsanlagen, für die Abfallentsorgung und Abwasserbeseitigung sowie für Ablagerungen (§9 Abs. 1, Nr. 12, 14 und Abs. 6 BauGB).

Überbaubare Grundstücksfläche (UeberbGF)

Festsetzung der überbaubaren Grundstücksfläche (§9, Abs. 1, Nr. 2 BauGB)

Baugrenze (BauGr)

Festsetzung einer Baugrenze (§9 Abs. 1 Nr. 2 BauGB, §22 und 23 BauNVO).

Nutzungsartengrenze (NutzungsGr)

Abgrenzung unterschiedlicher Nutzung, z.B. von Baugebieten, oder Abgrenzung des Maßes der Nutzung innerhalb eines Baugebiets ("Knödellinie", §1 Abs. 4, §16 Abs. 5 BauNVO).

Grünfläche (GruenF)

Festsetzungen von öffentlichen und privaten Grünflächen(§9, Abs. 1, Nr. 15 BauGB) und von Flächen für die Kleintierhaltung (§9, Abs. 1, Nr. 19 BauGB).

Straßenverkehrsfläche (StrassenVF)

Strassenverkehrsfläche (§9 Abs. 1 Nr. 11 und Abs. 6 BauGB).

Verkehrsfläche mit besonderer Zweckbestimmung (VerkehrsflBZ)

Verkehrsfläche besonderer Zweckbestimmung (§9 Abs. 1 Nr. 11 und Abs. 6 BauGB)

Straßenbegrenzungslinie (StrassenBL)

Straßenbegrenzungslinie (§9 Abs. 1 Nr. 11 und Abs. 6 BauGB)

Beschriftung bauliche Nutzung (BaulicheN)

Art und Maß der baulichen Nutzung

Überplanung (Ueberpl)

Ueberpl

Überplanung 1 (Ueberpl1)

Der betroffene Bereich ist durch eine neuere Satzung geändert worden!

Überplanung 2 (Ueberpl2)

Der betroffene Bereich ist durch eine neuere Satzung geändert worden!

Übersicht (Uebers)

Ansicht zu Übersichtszwecken bei großer Maßstabszahl

Zoom-Grenze-Hinweis (ZHinweis)

Hinweis, dass max. Zoom für das Thema erreicht ist.

There are currently no notifications for the service, click the feed icon to subscribe.